How much is your home really worth?

Find out for free

1320 E Milton Avenue 2-d, Youngsville, LA

$2,245,900

Previous Next

12.14

Acres

About 1320 E Milton Avenue 2-d

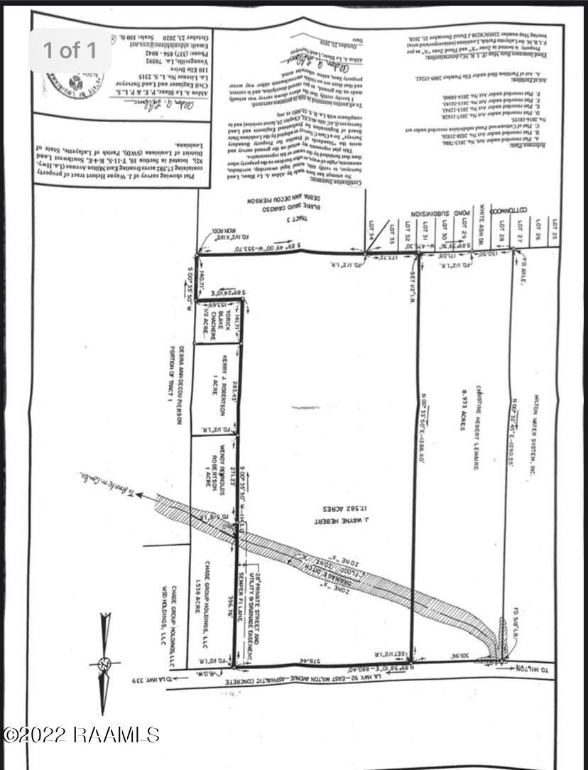
The first plat is the entire property and the second plat is what has been recently sold (lots 2-A & 2-B) & what is reserved (Lot 2-C), being the frontage up to the ditch, anything past the ditch is now listed for sale (lot 2-D). Property did not flood in 2016 and is zone X (not flood).

Features of 1320 E Milton Avenue 2-d

MLS® # 22003648
Price $2,245,900
Bathrooms 0.00
Acres 12.14
Type Land
Sub-Type Commercial,Residential
Status Active

Community Information

Address 1320 E Milton Avenue 2-d
Area N
Subdivision None
City Youngsville
County Lafayette
State LA
Zip Code 70508

Amenities

Utilities Cable Available
Is Waterfront No
Has Pool No

Interior

Fireplace No

Exterior

Lot Description Additional Land Available, Rural, Lot Staked, 11 - 19.99 Acres

School Information

Middle Call School Board
High Call School Board

Additional Information

Zoning Unzoned
RE / Bank Owned No
Listing Provided By Parish Realty Acadiana

Listing Map

Request a Showing

Provide a valid email address.
When would you like to view this property?

Realtor Association of Acadiana Logo The data relating to real estate for sale on this web site comes in part from the IDX Program of the Realtor® Association of Acadiana' MLS. Real Estate listings held by brokerage firms other than Flavin Realty are marked with the MLS approved icon for IDX (a little black house). Information is provided exclusively for consumers' personal, non-commercial use. It may not be used for any purpose other than to identify prospective properties consumers may be interested in purchasing. The data is deemed reliable but is not guaranteed accurate by the MLS. Participants are responsible for the content of their listings and the listings of their licensees. Participants agree to defend, indemnify and hold the Realtor® Association of Acadiana, its members, and other MLS Subscribers, harmless against any claims or lawsuits arising out of the contents of or any inaccuracy or inadequacy in the MLS data and/or IDX information or data. Copyright 2025 REALTOR® Association of Acadiana MLS. All rights reserved.